点击蓝字 关注中气爱
视频讲解:
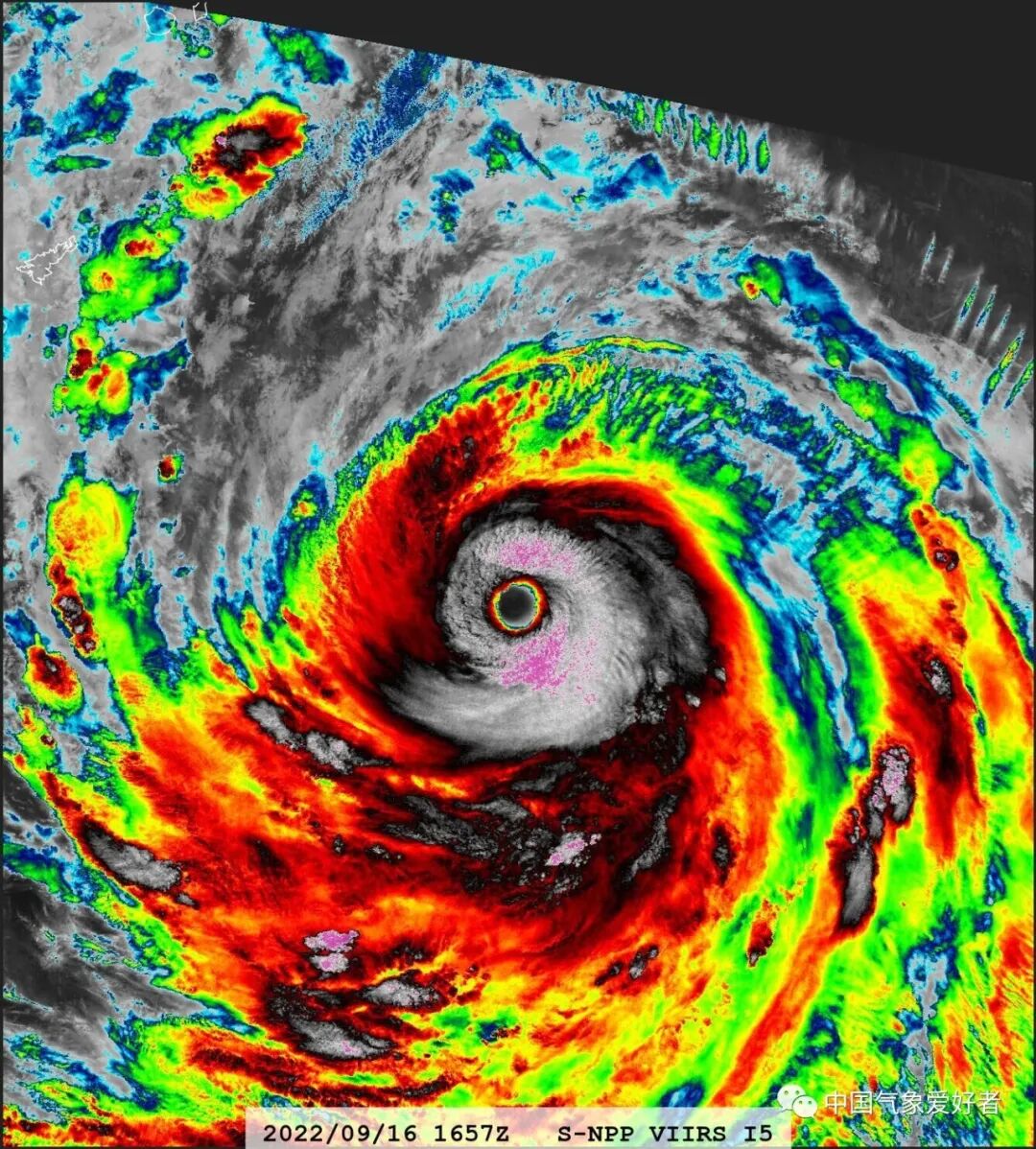
9月17日,超强台风南玛都依然保持极盛状态,带着清晰台风眼和巨大的云系冲向日本。9月17日上午,如临大敌的日本派出飞机飞入南玛都的台风眼,取得了令人震惊的数据。日本气象厅将南玛都升格为日本最高的猛烈级别,定中心最低气压910百帕,中心附近10分钟最大风力16级(按我国的标准是17级)。
根据目前的数据,南玛都最大可能是在9月18日中午掠过屋久岛,傍晚前后在九州岛西南部登陆,随后穿过九州岛入东海,减速后再调头依次袭击九州岛、本州岛和四国岛,在日本本土待三天。这是一条集合了风灾、雨灾和潮灾的前所未有路径。
日本气象专家已将南玛都和室户台风、枕崎台风、伊势湾台风、第二室户台风等巨灾台风并列,并反复警告国民,在日本历史上,南玛都这样的台风没有先例。
1959年9月,台风薇拉以超强台风强度在和歌山县登陆,伊势湾水位暴升,汹涌的潮水涌进大都市名古屋,造成4000多人丧生,因此薇拉被日本人称为伊势湾台风,它以惨痛的灾难,塑造了部分日本人的记忆。千与千寻里的那趟水上列车,正是伊势湾台风水淹名古屋的情景再现。
而南玛都有可能以接近伊势湾台风的强度袭击鹿儿岛附近,更重要的是,它将让整个九州岛、四国岛大部、本州岛西部陷入特大暴雨之中,其中九州岛最大累计雨量可能接近1000毫米。为此,日本气象厅已针对日本本土发出史上首次台风特别警报,还可能再发大雨特别警报,如此双特别警报可谓史无前例。我们提醒在日本九州岛、四国岛和本州岛西部的同胞,立即做好避难准备。
除日本的直接影响外,南玛都对我国也有间接影响。这第一个间接影响就是外围大风和涌浪,它已经导致日本的人员伤亡事件。我们要特别提醒江浙沪、山东、辽宁沿海的朋友,南玛都范围非常大,涌浪会波及我国,这几天去海边时一定要按管理要求来,一定要慎之又慎。
南玛都对我国的第二个间接影响,就是它的强劲外围下沉气流和大陆高压联手,在中南华南和西南制造的大范围高温。9月17日,湖南、江西、贵州、福建、广东、广西等再度大范围35度,其中贵州沿河达39度,为9月中旬少见的高温。
不过,实力不俗的冷空气正在塞外集结,在南玛都登陆后也就是9月19日起,它将大举南下,除福建、广东、广西、海南等地外,南方将和2022年的高温彻底告别,尤其是四川重庆等地,可能在连绵阴雨之中降温过头,体会萧瑟秋意。
中国气象爱好者,有理有趣有温度、有料有货有型格
本号文章均为原创,转载请取得授权,并注意保持完整性和注明出处