关于对地铁5号线老余杭站工程进行公示的说明
一、项目概况:
老余杭站为5号线西延工程起点站,为地下两层岛式车站。主体位于凤新路、禹航路交叉口,沿凤新路东西向设站。车站周边为已成区:车站北侧均为已建成住宅小区;南侧有碧景园小区、余杭税务分局、公安分局、烟草局及余杭公交首末站等。
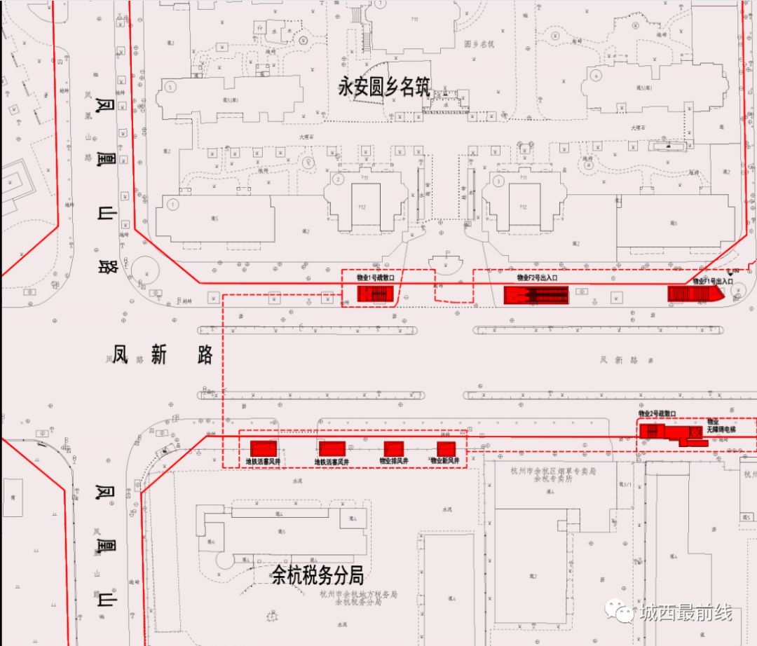
地铁具体位置图纸详见附图。
二、意见提交:
为拓展社会公众了解和参与城市规划的渠道,进一步提高城市建设品位,现对规划项目展示方案征询广大市民的意见和建议,本次征求意见的截止时间为2020年1月22日。邮件请发送至:yhplanning@163.com;信件请寄至:杭州市余杭区文一西路1500号3号楼513室,邮编311121。涉及重大利害关系的,利害关系人如需申请听证,请在公示结束后5个工作日内提出申请,联系电话:88607319。
来源|余杭政府网
老余杭站共拟设9个出入口。
凤新路(凤凰山路—凤联路)之间拟设出入口2个,均位于凤新路北侧(永安圆乡明筑一侧),自西向东分别为“物业F2号出入口”和“物业F1号出入口”。
凤新路(凤联路——禹航路)之间拟设出入口5个,凤新路北侧(凤凰家园一侧),自西向东分别为“物业E号入口”和“地铁B号入口”;凤新路南侧(碧景园一侧),自西向东分别为“物业G2号出入口(杭州公安局余杭分局余杭派出所门口)”、“物业G1号出入口”和“地铁C号出入口”。
凤新路(禹航路——狮山路)之间拟设出入口2个,凤新路北侧(西园度假酒店一侧)为“地铁A号出入口”;凤新路南侧(余杭车站一侧)为“地铁D号出入口”。
来源:城西最前线
●老余杭大消息!总投资30亿!地铁5号线二期西延段获批,具体线路走向曝光...
●重磅!老余杭超大型综合公园来了!15000方花海/5公里绿道...即将免费开放!
●重磅!总投资1.2亿!老余杭这里将建设建筑垃圾资源循环利用项目...
●家住余杭西边老余杭、闲林...去东边的政府部门办事,大半天耗在路上…怎么破?
●未来科技城居民大福利!位于城西的三大综合体本月接连开业...
●老余杭南湖的之江实验室园区进展如何?明年底投入使用?记者独家探营
●所有家长注意!明年1月1日起,杭州市区这类新生实施积分入学!