![]()
社区商业,以居住人群为中心,全部设施围绕人们在家居附近寻求生活与文化交流的需要,构成了一套巨大的家庭住宅延伸体系,比如菜场、超市是厨房的延续;图书馆、阅览室是书房的延续;餐饮、小吃是餐厅的延续。
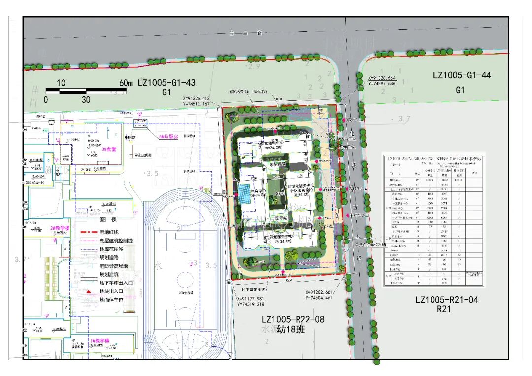
总结来看,是集商业、文化、体育、卫生和教育等于一体的社区商业中心和服务中心,周边住宅小区居民一般步行10-15分钟就能到达。近日,余杭规划部门公布了一宗位于良渚的文化、体育、医疗卫生、社区养老兼容服务设施用地,地块位于良渚街道北部新城板块。占地面积10873平方米!规划建设包含“农贸市场、文化中心、体育中心、社区服务中心、养老服务中心、社区卫生服务中心、工疗站、公厕等设施。
![]()
地块位于北部新城,东至北城五路、南至通运街、西至在建新城三小、北至金昌路。地块面积10873平方米,总建筑面积32591平方米!
地块周边拥有多个住宅小区,通运华庭、小洋坝安置房、绿城项目、等等,还有在建的新城第三学校、新城第一中学。规划中的通运路产业园就在地块南侧。未来项目周边500米范围内,居民将非常多!更惊喜的是,在图片的下方,还标注了”地铁站点“的字样,或许,未来这里还会设置一个地铁站?在项目规划指标中,地块总建筑面积32591平方米,其中,地上面积21872平方米,具体分为:农贸市场4062平方米、文化活动中心3044平方米、社区服务中心1074平方米、体育中心2044平方米、养老服务中心4030平方米、社区卫生服务中心6007平方米、工疗站1566平方米、公厕85平方米。地面还设置9个机动停车位。项目地下建筑面积10719平方米,设置172个机动车位、989个非机动车停车位!从上述项目规划及后期用途配置来看,这个项目可以称的上是一个小型综合体。尽管总面积不大,但是,各种功能配置非常多。项目建成后,将给周大量居民带来巨大便利!周末或下班回家,居民即可在家门口的商业里,度过一段轻松惬意的家庭休闲时光。
我们需要大型商业体这样的大动脉,也需要更多“毛细血管”的社区中心,多层次渗透分布,更好地服务生活!
图片来源:余杭政府网