楼上是匈牙利人邬达克的中文印章。
混在中国的老外对中国文化都喜欢的,邬达克在上海生活长达28年(1919年至1947年),这个城市不少地标建筑物设计出自他手,随便在什么路上,不远一定会有个“邬达克符号”。现在邬达克可以说是一门显学,研究者和爱好者众多,我们也来“轧一脚”,不过,我们是从实用科学和带看解说词的角度出发,延安西路918-928号。
文集看门道 外文里面信息量最大
乔争月不愧为上海老洋房研究专家
作为邬达克鼎盛时期的经典之作,达华公寓的设计明显受到欧洲现代住宅设计风格的影响,体形简洁明快,水平线条流畅。西班牙和日本的专业杂志都刊登过这一作品,并将之与英国以及布拉格和米兰的一批住宅建筑相提并论。1937年,邬达克携妻女搬到达华公寓的底层居住,直至1947年初夏全家离沪,在公寓内居住长达10年(《锦江都城达华酒店荣获“最具性价比酒店”》摘自慧聪网http://www.hotel.hc360.com2016年1月5日)。
而在本地两个重要的外文报刊(《That's Shanghai 》和《上海日报》)里,我们读到了几个可以深挖的信息:
Hubertus Court was a very important project for Hudec. He invested his own money in the enterprise and his family lived on the ground floor, now a hotel lounge,” says Italian architectural historian Luca Poncellini.
“In the late 1930s he sent his sons off to Canada to attend a cadet school, leaving only Laszlo, his wife Gisela and daughter Alessa. The Columbia Road house was far too big for them.”
稍微啰嗦一句,华霞虹、乔争月两人翻译了 Luca Poncellini 博士论文《邬达克在上海》,目前在邬达克的研究领域, Luca Poncellini.是专家。有时候博士论文写得出奇,那就够一辈子吃的了,戏话。
In 1936, Spanish architectural magazine Viviendas (Residence) devoted a 7-page spread to Hubertus Court. It was referred to as “the most modern building in East Shanghai.”
上面的中文和外文,说的是一件事情,我们用红色标注的文句里,有人名可供搜索,有外文杂志名称言之有物。经过七转八拐,我们真的在加拿大维多利亚大学的数字图书馆里找到了这本杂志,该杂志用了七页介绍了达华公寓。
邬达克是达华公寓的开发商
大平层样板房老板就住楼里
查阅资料发现邬达克也是摄影爱好者,网上可以搜到他拍摄的家庭录像片段,我们截了几张,都是孩子们在番禺路129号大宅草地上玩耍和骑自行车的镜头,拍摄于1933年,那一年,邬达克有了自己的地产开发公司,距离他独立做打样间仅仅过去了8年,是上海这个迅速发展的大城市给了建筑设计师施展才华的机会。有这样的一种说法,说是国际饭店建造过程中多余建筑材料,邬达克拉到了达华公寓的工地,哈哈,有可能,建筑师知道什么叫因材建造。
我们所做的达华公寓的带看解说词肯定是和别人家大不一样的,先前的可以见马勒别墅的解说词新文本:陕西南路最先一段是中国历史文化名街陕西北路最重要一段 马勒别墅解说词新文本(链接点进去看看),我们今天会怎么说呢?先上邬达克的设计图,地形图。
对比一下历史和现实,地块没有变化,老地块上的停车场部分如今被改建成了楼房,并在南花园做了加建,花园小多了,现在是个水池子,靠水面反射做点观赏效果,如果是游泳池的话倒是夏天好去处。
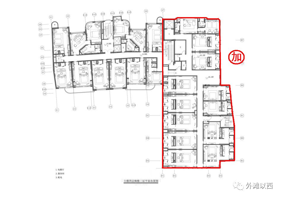
目前宾馆是110套房间,有单间标准房也有套房。但我们要说的达华公寓仅仅25套酒店式公寓房。能看到的是一个标准层的平面图,一梯三户的格局,两套南北通大两房两卫两厅,一套全朝南的小房型一房一厅一卫,可以看到主人和服务人员各自有个通道,从我们了解到的上海老公寓布局情况看,两个卫生间绝对是亮点。
刚才中外文都写到一句话:
“In the late 1930s he sent his sons off to Canada to attend a cadet school, leaving only Laszlo, his wife Gisela and daughter Alessa. ” = 1937年,邬达克携妻女搬到达华公寓的底层居住,直至1947年初夏全家离沪,在公寓内居住长达10年。
但外文里还跟了一句话:“The Columbia Road house was far too big for them.” 看到了吗?邬达克的儿子被送到加拿大读书后,他觉得番禺路129号太大了,往小里搬。我们从这中间多少读到点另类的信息,第一,古典老宅已经不适合自己口味了,世界变化快,潮流所向是Moden Style 。第二,开发商以身作则,我不住在这里吆喝王婆卖瓜谁还会更起劲呢?第三,我估计也是最能让邬达克搬家的理由,待会说。
先说最新一次的改造,我们查到是本土设计师叶铮,他也是大学教授。
本次改建由国内著名酒店设计师叶铮主持。设计分别从建筑、景观、室内三方面综合入手,追求时尚、绿色、轻松、温和的设计理念,努力为M达华酒店营造一款田园都市般的场所,并在历史保护的基础上,体现出怀旧、亲和、质朴的上海西区城市氛围,同时融历史积淀与当代文化于一体。
粗粗地看一大波酒店改造后的照片,总觉得改造后的酒店格局还是不大气,可能与品牌的价格定位和目标客户有很大关系,其实这样的酒店完全可以删繁就简,走璞丽思路,都市隐居,大隐中隐。
重点来了 《(西班牙)建筑》全图文
M达华酒店拥有各类特色房和套房等110余套,分别由红、绿色调构成“旭日”与“清月”两大系列。而建筑内园中大片的无边静水池、垂直绿花、竹径小道等,则构成了达华花园景观的又一大特点,如此一个闹中取静的花园设计,充分将室内环境同室外景观紧密联系,相得益彰,由此,上世纪初乌达克的建筑,在这片绿荫水景的呼应下再获新生。
看了如上这段话有点启发,看红字,但太直白了吧,意境不够含蓄。
我们负责搬运,将1936年的黑白照片转发出来,这个应该是很少人看到过的,我们也试着解读一下,斗胆。
乔争月在她的专题里放出过两张老照片,下图很珍贵,邬达克在达华大平层居住,感觉没像是住在楼房里,外面就是一大块围合草地,1937年,邬达克44岁,常年在建筑工地上爬上跑下的,这个年纪已经不想在自己家里上楼下楼,平层成为他的首选居住空间,刚才我们说的第三个原因应该是他搬家的最主要原因,达华公寓有中央空调,当年上海绝对是高档享受。
According to the report, Hudec carefully considered sunrise and sunset positions in Shanghai’s winter and summer months as well as wind directions in the four seasons.Large glass windows and central air-conditioning were designed to cope with hot weather(Former Hudec residence now an affordable boutique hotel,作者:乔争月 2017年7月17日https://www.shine.cn/feature/art-culture).
现在新型的中央空调平价化了那时候太稀奇了,可以说目前达华宾馆仅仅保留下来外立面造型,造型包括了线条和外挑空阳台,还有一个就是大玻璃窗,这个也是现代建筑设计常用之手法,在1930年代也属于新潮流。乔争月文章说了个深井水的故事,如果说当年利用深井水并采用电动泵制冷和供热的话那不就是现在说的地源热泵技术吗?
地源热泵是陆地浅层能源通过输入少量的高品位能源(如电能)实现由低品位热能向高品位热能转移的装置。通常地源热泵消耗1kWh的能量,用户可以得到4.4kWh以上的热量或冷量。"地源热泵"的概念,最早在1912 年由瑞士的专家提出,而这项技术的提出始于英、美两国。北欧国家主要偏重于冬季采暖,而美国则注重冬夏联供。
事实是1937年上海战事以后供电出现问题,邬达克土法上马自己动手改装大楼供水,建筑设计师变身水利工程师了,我们也同时知道了住到有中央空调的楼房大平层后电力不足的话,享受到冷气有限的。
The years spent in the butter-hued building happened to be the war times when bread and sugar were rationed and gasoline and electricity were not always available. The water for Hubertus Court came from a 1,000-feet-deep (300-meter-deep) well, which required an electric motor to pump the water to the top of the building. “Since the power supply was intermittent, my father converted a motor car engine to run on wood as a driving force for the pump. Huge piles of wood had been delivered to supply the building for this reason,” de Wet recalls, whose narration was compiled and recounted by Hudec’s granddaughter-in-law, Anne Hudec, in Canada.
达华公寓Hubertus Court落成以后的雄伟身影,周围静悄悄的,西隔壁的孙克基医院后来的长宁区妇幼保健医院,说起来也是一把泪,当年的机会走过路过错过,2001年的时候有泛城地产经纪人告诉我们,希望通过我们的力量整合这个资源,这个医院带医疗执照出售的哦,报出来的价格是3000万······以下省略10000字。来来来,还是看达华公寓老照片。
低调的公寓大楼进户门,邬达克符号。
以前是草地,有造型的草地,适合孩子们追逐玩耍。
突出了大采光玻璃窗户,中央空调应该是供冷气,暖气片供热,现在上海人也接受了暖气,有地暖和墙暖,当年只有墙暖,俗称“热水汀”,水汀是外来语。
热 水汀 = steam = 暖 气
当邬达克画下达华公寓设计图以后,他的心理可能是矛盾的,以前是交给了甲方开发,自己的设计任务完成监制工作开始一直到工程竣工验收合格,开发商销售和后期物业服务。现在他知道自己将以设计师开发商身份(让人想起了约翰·波特曼,可以链接点进去看看:1990年波特曼上海经典之作可不可以挂优秀历史建筑铭牌? 一个不被注意的旅游休闲景点)贯穿在这个项目的全过程甚至建筑物整个生命周期。他熟悉大西路(延安西路),不远处的西边大西别墅,南边普益模范邨(哥伦比亚圈安和寺路定制别墅)还有东面宏恩医院、德国福音教堂和威廉男童学校等等,自己开发的达华公寓会成功吗?这样金鸡独立的现代式酒店公寓套房适合当地市场吗?
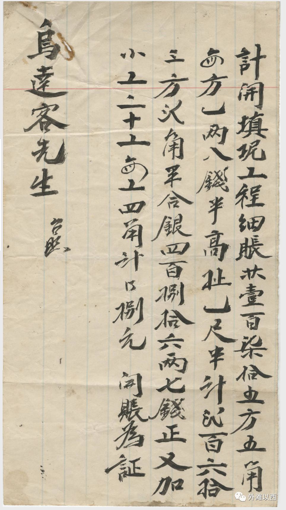
如果你曾做过项目第一责任人的话,那种事无巨细全部堆积到你的面前,这不帐单来了:
填泥工程細賬,共壹百柒拾五方五角。每方一兩八錢半,高?一尺半,計七百六十三方七角半,合銀四百捌拾六兩七錢正。又加小工二十工,每工四角,計八元,開帳為証。 烏達客先生台照
最后放出西班牙文章全文,有懂西班牙文的能看出新意思吗?